Международные связи Новгорода (Е.А. Рыбина)
Район озера Ильмень с истоком Волхова с раннего средневековья стал чрезвычайно притягательным местом для заселения и ведения торговли, поскольку был местом пересечения важнейших водных путей Восточной Европы: балтийско-днепровского (путь «из варяг в греки») и балтийско-волжского. Это обстоятельство и предопределило в будущем особое значение возникшего здесь в середине X в. Новгорода как крупнейшего центра внутрирусской и международной торговли, которая и является основным индикатором межгородских и международных связей1. Благодаря своему местоположению на пересечении торговых путей, Новгород стал важнейшим транзитным пунктом, осуществлявшим связи между Русью, Западной Европой, Византией и мусульманским Востоком (рис. 63).
Большое значение для изучения средневековой новгородской торговли имеет археологический материал2. Дело в том, что письменные источники освещают торговые связи нерегулярно и главным образом в поздний период (XIV—XV вв.), в то время как ранний период (X—XIII вв.), и особенно южные направления новгородских связей, практически не нашли отражения ни в летописях, ни в торговых грамотах и договорах. Между тем динамичное развитие и расцвет южной и юго-восточной торговли Новгорода приходится как раз на X—XII вв., поэтому археологический материал для этого периода является, по существу, единственным источником.
Рис. 63. Карта торговых путей
Краткий обзор международных связей средневекового Новгорода (X—XV вв.) дан с той степенью конкретности и полноты, которые содержатся в источниках.
Южное и юго-восточное направления
Главным торговым партнером Новгорода на южном участке пути «из варяг в греки» был Киев, откуда в Новгород поступали товары, идущие днепровским путем из Византии, Крыма и других мест. В Киеве новгородские купцы имели собственный гостиный двор с церковью архангела Михаила.
Археологически выявлены такие товары, поступавшие в Новгород днепровским путем, как амфоры, служившие тарой для вина и масла, грецкие орехи, стеклянные браслеты и другие стеклянные изделия византийского и киевского происхождения, византийские ткани (найдены их фрагменты, а также упоминания о них в берестяных грамотах — № 675), приднепровский янтарь, пряслица из розового шифера. Последние составляют самую массовую категорию южного импорта (обнаружено около 4 тысяч экз.). Важным качеством этой группы наряду с массовостью является определенность ее происхождения. Хорошо известно, что такие пряслица в Древней Руси производились на Волыни в районе Овруча, где обнаружены месторождения розового шифера, а также мастерские по изготовлению пряслиц. Отсюда они распространялись по всей территории Древней Руси и даже попадали за ее рубежи: известны находки овручских шиферных пряслиц в Польше, Швеции, Германии.
Благодаря массовому характеру большинства перечисленных предметов, удалось восстановить динамику торговых связей между Новгородом и его южными партнерами. Для них характерно постепенное развитие с середины X в. и в течение всего XI в., а затем заметный подъем в XII в. В слоях, датированных временем после монгольского нашествия (со второй половины XIII в. до середины XV в.) практически не обнаруживаются предметы импорта, поступавшие по днепровскому пути.3
Таким образом, после монгольского нашествия, разрушившего основной торговый центр на Днепре — Киев, днепровский путь, по существу, перестает функционировать и уже никогда не будет иметь для Новгорода большого значения.
Волжский путь, судя по кладам серебряных арабских монет, найденным в Новгородской земле, начал функционировать еще на рубеже VIII—IX вв.4 Главным торговым партнером Новгорода в юго-восточном направлении был город Булгар, через который в северную столицу на Волхове поступали товары из Поволжья, Кавказа, Средней Азии и стран Востока. Основным импортом, поступавшим в Новгород волжским путем, были серебряные монеты, чеканившиеся в странах арабского халифата. При раскопках Новгорода в слое середины X в. обнаружены три клада арабских монет, изредка встречаются и отдельные восточные монеты. Кроме арабских монет обнаружены сердоликовые и хрустальные бусы, самшитовые гребни, ближневосточная и золотоордынская поливная керамика, поступавшие в Новгород волжским путем. Судя по находкам, этот путь действовал бесперебойно в X и XI вв. Только с первой четверти XII в. из-за постоянных столкновений с половцами торговое движение по Волге на долгие десятилетия замирает и вновь оживляется лишь на рубеже XIV—XV вв.5
Наблюдения над массовыми предметами южного импорта, обнаруженными при раскопках в Новгороде, приводят к выводу о том, что после монгольского нашествия традиционные южное и юго-восточное направления новгородских торговых связей или прекращается (путь по Днепру), или надолго замирает (волжский путь).
Для раннего периода (XI—XII вв.) характерны и активные связи Новгорода с древнерусскими городами, что нашло отражение в берестяных грамотах этого периода.6 В некоторых из них встречаются названия Киева, Пскова, Смоленска, Суздаля, Полоцка, Ярославля, Ростова Великого, Москвы в ее первоначальном названии — Кучков и другие города. Все эти города упоминаются в текстах берестяных грамот в связи с торговыми поездками новгородцев в названные центры или с финансовыми делами торговых партнеров. В XIII в. из-за монгольского нашествия, разрушившего многие древнерусские центры, а также в связи с изменением экономической базы Новгорода, основой которой стало крупное землевладение, межгородские связи слабеют, а в XIV—XV вв. и вовсе перестают играть какую-либо роль в новгородской экономике. В это время основные внешнеполитические и торговые интересы Новгорода устремлены на Запад.
Западноевропейские связи
Начало торговым отношениям Новгорода с западными соседями и странами, расположенными в балтийском регионе, было положено еще его связями с коренным славянским населением южной Прибалтики. Озеро Ильмень с истоком Волхова было главными воротами, через которые восточное серебро из стран арабского халифата поступало в IX в. в Померанию и Пруссию, а позднее в Швецию и на Готланд.
Балтийско-днепровская и балтийско-волжская водные магистрали стали теми путями, по которым в IX в. двигались скандинавы, осваивая новые территории для торговли. Еще до образования собственно Новгорода в истоке Волхова на его правом берегу в IX в. существовало торгово-ремесленное поселение, контролировавшее путь «из варяг в греки» и известное в источниках под названием Городище.
Начавшиеся в IX в. контакты Новгорода с северной и западной Европой носили в дальнейшем не только торговый, но и политический характер, что нашло отражение в упомянутом призвании варяжского князя, политических союзах, династических браках (напомню о браках новгородского князя Ярослава Мудрого со шведской принцессой Ингегерд, и его дочери Анны, ставшей королевой Франции). В Новгороде, как повествуют скандинавские саги, в X в. воспитывался малолетний Олав, будущий король Норвегии.
Новгородско-скандинавские связи нашли отражение в скандинавских сагах, которые, несмотря на свой легендарный характер, содержат объективную информацию о контактах с Новгородом. Саги неоднократно сообщают о поездках норвежских купцов в Новгород, где они покупали меха, дорогие ткани и роскошную столовую посуду восточного и византийского происхождения. Новгород, именуемый в сагах как Хольмгард, нередко получает эпитет «торговый город», а купцы, посещающие Новгород, называются «торговые люди».7 Для XI в. сохранились свидетельства о связях Новгорода с Данией, зафиксированные на страницах «Хроники» Адама Бременского, который сообщает о поездках в Остроград (Новгород) и о женитьбе новгородского князя на датской принцессе. Судя по археологическим находкам в X—XI вв. в Новгороде были широко распространены шерстяные ткани английского производства, которые поступали туда, очевидно, тем же путем, что и монеты английской чеканки.
Рис. 64. Церковь Параскевы-Пятницы (фото Е.А. Рыбиной)
В X в. устанавливаются тесные контакты между Новгородом и островом Готланд, который на протяжении многих веков был центром балтийской торговли. Именно сюда устремляется в X в. поток серебряных арабских монет, многочисленные клады которых обнаружены на острове.
Ярким показателем активных связей Новгорода и Новгородской земли в XI в. с западными странами являются клады западноевропейских серебряных монет, в изобилии встречающиеся в Новгородской земле. Среди них преобладают монеты чеканки Германии, Англии, Дании, контакты с которыми подтверждаются и другими материалами. Западноевропейские монеты аналогичной чеканки встречаются при раскопках и в самом Новгороде. В 1993 г. в слое первой трети XI в. был обнаружен клад денариев, состоящий из 59 прекрасной сохранности серебряных монет, чеканенных в Англии (21 экз.) и различных городах Германии (29 экз.). В состав клада входили также 7 скандинавских подражаний английским монетам и 2 византийские монеты конца X в.8
Несмотря на малочисленность источников, общее направление и характер западноевропейских связей Новгорода в ранний период устанавливаются надежно. В IX—XI вв., несомненно, существовали культурно-исторические и торговые контакты между Новгородом и западнославянскими землями (южно-балтийское побережье), уходящие корнями в далекое прошлое этих регионов. Также несомненны в рассматриваемое время прочные связи Новгорода со странами северной Европы.
К началу XII в. западнославянское направление практически утрачивается, зато связи с северной Европой, и особенно с островом Готланд, укрепляются. Самым значительным событием внешнеторговых связей Новгорода в XII в. стало устройство в нем в начале этого столетия Готского торгового двора с церковью св. Олава, что само по себе является надежным свидетельством постоянных и прочных контактов с Готландом. Известно также о существовании новгородского подворья с православной церковью на Готланде в это время.
В XII в. новгородцы ведут активную заморскую торговлю, совершая регулярные поездки на Готланд и в Данию, что зафиксировано на страницах новгородской летописи. В частности, под 1130 г. сообщается о гибели новгородских купцов и товаров при их возвращении с Готланда и о благополучном возвращении новгородцев из Дании9. В 1134 г. в Дании были конфискованы товары у новгородских купцов10, а спустя 20 лет новгородские корабли были ограблены у берегов Дании. С XII в. в Новгороде существовало особое объединение купцов, ведущих заморскую торговлю и именовавшихся поэтому «заморскими купцами». В 1156 г. община этих купцов построила собственную церковь Параскевы (покровительницы торговли) на Торгу11 (см. илл. 64 цв. вкл.).
Что касается археологических материалов, то среди них обнаруживается в слое середины XII в. слиток золотистой бронзы, полностью аналогичный слиткам, происходящим с острова Готланд. Кроме того, как показал металлографический анализ, в XII в. широко распространяются предметы из цветных металлов, имеющих тесную химико-металлургическую связь с металлом Швеции12. Таким образом, для XII в. характерны тесные связи Новгорода со странами северной Европы, а именно с Данией, Швецией и особенно с Готландом.
В XII в. в балтийской торговле происходят существенные перемены, связанные с появлением на Балтике немецких купцов. Во второй половине столетия немецкие купцы обосновались на Готланде, который был центром балтийской торговли в то время, и основали там свою колонию. Со временем они установили контакт с давними партнерами готландцев — новгородцами — и постепенно потеснили купцов Готланда с ведущих позиций в новгородской торговле.
В связи с этим примечателен конфликт, происшедший на Готланде в 1188 г.13 между новгородскими и немецкими купцами (очевидно, это было первое столкновение между новыми торговыми партнерами). Суть конфликта заключалась в том, что у новгородских купцов, прибывших торговать на Готланд, несправедливо были конфискованы товары. Эта акция вызвала ответные меры новгородцев, которые отправили находившихся в Новгороде иноземных купцов без мира и без сопровождающего, а своих купцов не пустили на следующий год «за море».
Однако взаимная заинтересованность сторон в продолжении торговли потребовала скорого урегулирования конфликта, что выразилось в заключении в 1191—1192 гг. торгового договора новгородским князем, посадником, тысяцким и всеми новгородцами с послом Арбудом, со всеми немецкими сынами и готами14. Примечательно, что на первом месте после имени посла названы «немецкие сыны» как главные действующие лица конфликта.
Рис. 65. Фрагменты резного фриза с изображениями новгородцев
Данный договор является первым дошедшим до нас торговым договором Новгорода с западными партнерами. Между тем в нем содержится ссылка на «старый мир» который был заключен, вероятно, с Готландом еще в первой половине XII в., когда в Новгороде был основан Готский двор. В договоре конца XII в. были впервые письменно закреплены сложившиеся на практике правила торговли. Прежде всего устанавливалось, что любое спорное дело между торговыми партнерами не должно быть поводом для конфискации товаров или прекращения торговли. Кроме того, согласно договору необходимо было предъявлять иск только виновным лицам, а не наказывать всех немецких или новгородских купцов в случае нарушения одним из них правил торговли («немца не сажати в погреб в Новгороде, ни новгородца в немцах, но емати свое у виновата»). Эта статья закрепляла юридические нормы торговых отношений на будущее. Однако в действительности эти правила практически не соблюдались, и поэтому они неоднократно повторялись во всех последующих договорах.
Важным для немецкой купеческой общины результатом урегулирования конфликта 1188 г. стало устройство в Новгороде в 1192 г. Немецкого гостиного двора с церковью св. Петра.
К концу XII в. Готланд утрачивает значение самостоятельного центра балтийской торговли, которую постепенно монополизируют немецкие купцы, что непосредственным образом сказывается на связях Новгорода с европейскими странами. Начиная с рубежа XII—XIII вв., западноевропейская торговля Новгорода ведется через посредство немецких купцов, которые в XIII в. периодически образовывали региональные городские союзы для ведения торговли, защиты купцов от разбоя на море и на суше, для обеспечения им привилегий и т. д.
Образование таких региональных союзов стало первым шагом на пути создания общегородского союза немецких городов, каким стала Ганза (Hansa), которая окончательно оформилась в 1370 г. Главой Ганзы, объединявшей десятки немецких городов (вендских, вестфальских, саксонских, прусских, ливонских), на протяжении всей ее истории оставался город Любек. В течение XIV—XV вв. Ганза держала в своих руках все нити западноевропейской торговли, будучи главным посредником в торговых связях между отдельными регионами Центральной, Восточной и Северной Европы.
Новгород во все времена был одним из главных торговых партнеров Ганзы. Именно здесь ганзейцы приобретали известные во всей Европе меха, отсюда вывозили воск, мед и другие товары. В свою очередь, Новгород импортировал западноевропейские ткани и серебро, цветные металлы, стеклянные изделия венецианского и иного производства, соль, некоторые продукты, вина, предметы роскоши, которые доставляли ганзейские купцы.
В Любеке и других крупных ганзейских городах существовали наряду с иными и объединения купцов, специализировавшихся на торговле с Новгородом, так называемые Novgorodfahrer. В Штральзунде в церкви св. Николая сохранился резной деревянный фриз, помещенный над скамьями купцов, торговавших с Новгородом (см. илл. 65 цв. вкл.). На этом фризе немецкий мастер в XIV в. изобразил новгородцев, которые собирают пушнину и воск (основные статьи новгородского экспорта) и доставляют их в Немецкий двор.
Иноземные дворы в Новгороде
Постоянные торговые контакты Новгорода привели к созданию здесь в разное время торговых факторий иноземных и русских купцов, где они жили, хранили свои товары, торговали15 (рис. 66).
Первым иноземным двором в Новгороде был уже упоминавшийся Готский двор с церковью святого Олава, основанный купцами острова Готланд в начале XII в. и активно использовавшийся ими на протяжении всего столетия, когда совершались регулярные поездки готландских и новгородских купцов друг к другу.
Готский двор находился неподалеку от Ярославова Дворища на берегу Волхова (на месте нынешней гостиницы «Россия»). В 1968—1970 гг. здесь проводились археологические исследования, давшие конкретные представления о сооружениях двора, предметах быта иноземных купцов. Большую часть находок, собранных на этом участке за три года работ, составляют предметы иноземного происхождения. Среди них многочисленные фрагменты рейнской керамики, черепицы, различные деревянные предметы со знаками собственности ганзейских купцов, счетные жетоны, деталь складного зеркала, бронзовый и деревянные подсвечники, костяные шахматные фигуры. Сенсационной стала находка первой латинской надписи на бересте (берестяная грамота № 488), в которой записаны первые строки 94 псалма царя Давида.
В конце XII в. в Новгороде был устроен Немецкий двор с церковью святого Петра, основанный немецкой купеческой общиной, обосновавшейся на Готланде во второй половине XII в. После образования в 1370 г. союза немецких городов Немецкий двор стал центром ганзейской торговли в Новгороде, превратившись в одну из крупнейших ганзейских контор в Европе. Ее составной частью был и Готский двор, который, оставаясь собственностью Готланда, арендовался ганзейскими купцами за небольшую плату.
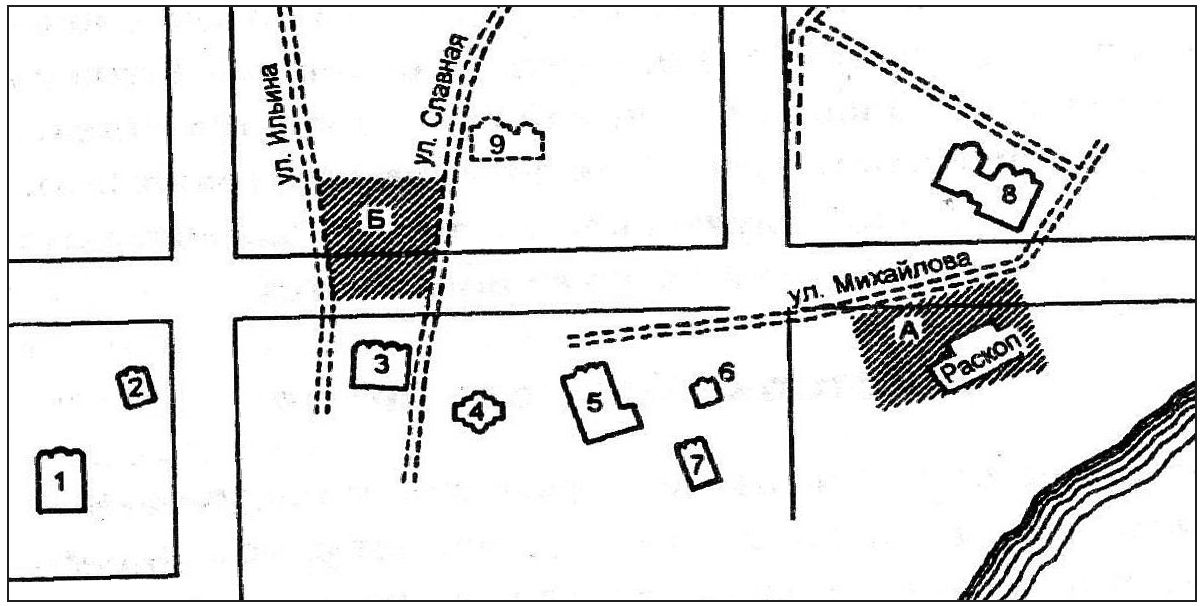
Рис. 66. Месторасположение Готского (А) и Немецкого (Б) дворов 1 — ц. Иоанна на Опоках, 2 — ц. св. Георгия, 3 — Успенский собор, 4 — ц. Параскевы, 5 — Никольский собор, 6 — ц. св. Прокопия, 7 — ц. жен Мироносиц, 8 — церкви Благовещения и Михаила Архангела, 9 — ц. Иоанна Крестителя у Немецкого двора
Немецкий двор, так же как и Готский, находился в непосредственной близости от Ярославова Дворища, но к востоку от него, напротив Никольского собора и церкви Параскевы. Площадь каждого из дворов не превышала 2000 кв. м. На огороженной мощными частоколами из бревен территории дворов находились церкви, жилые постройки, амбары для хранения товаров. Кроме того известно, что на Готском дворе находились соляные (для соли) амбары, а на Немецком — поварня, пивоварня, мельница, больничное помещение, а рядом с церковью св. Петра существовало небольшое кладбище. При раскопках Готского двора был обнаружен фундамент башни, очевидно, сторожевой, которая, кроме того, являлась местом хранения товаров и заточения провинившихся купцов.
Ганзейское купечество, находясь в чужом, а нередко и враждебно настроенном к нему городе, постоянно заботилось об охране дворов и церкви от пожаров и от всяческих посягательств со стороны новгородцев. Охрану двора несли по очереди днем и ночью без исключения все купцы; в церкви дежурили только ночью, а днем ее запирали на замок, ключ от которого находился у старосты церкви. Для охраны двора использовались собаки, которых на ночь спускали с цепей.
Приезжать в Новгород и останавливаться во дворах имели право только купцы ганзейских городов, в состав которых входило несколько десятков немецких, прусских и ливонских городов. Срок пребывания купцов в Новгороде ограничивался летним или зимним сезоном и в целом не должен был превышать одного года. Общее число купцов, одновременно проживавших на Готском и Немецком дворах, достигало 150—200 человек в пору расцвета ганзейской торговли. С ее упадком к концу XV в. их количество заметно сократилось. При закрытии конторы в 1494 г. в Новгороде находилось 49 купцов из 18 городов Германии и Ливонии.
Устройство дворов, организация быта ганзейских купцов, их взаимоотношения с новгородцами, а также само ведение торговли строго регламентировались специальными постановлениями, записанными в устав двора, называемый «Скра», что значит «книга законов» или «судебник». Главным законодательным органом конторы было общее собрание всех присутствующих во дворе купцов под председательством старост. Собрание обсуждало важнейшие дела конторы, вершило суд в торговых и уголовных делах.
Основным местом торговли был Немецкий двор, куда приходили новгородские купцы, чтобы договориться о сделках и забрать товар. Ганзейские купцы также приобретали новгородские товары, как правило, непосредственно на усадьбах русских партнеров, поскольку торговля имела оптовый и меновый характер.
История новгородско-ганзейских отношений изобилует торговыми конфликтами, запретами на торговлю, частыми столкновениями между иноземными купцами и жителями города. Чаще всего конфликты возникали из-за несоблюдения той или иной стороной правил торговли. Напомню, что одним из основных правил было следующее: в случае нарушения одним из купцов правил торговли предъявлять иск следовало только виноватому лицу. Тем не менее, судя по источникам, подобные нарушения влекли за собой арест всех новгородских купцов в ганзейских городах и арест немецких купцов в Новгороде. Ограбление новгородцев где-нибудь в Балтийском море или в Ливонии влекло за собой задержание всех немецких купцов в Новгороде. Особенно участились взаимные аресты купцов и товаров во второй половине XIV в., закончившиеся торговой войной 1385—1391 гг., после которой в 1392 г. был заключен Нибуров мир. Однако мирные отношения продолжались недолго, спустя несколько лет вновь начались взаимные претензии к качеству товаров и обвинения в несоблюдении правил торговли.
Частой причиной разрывов торговых отношений были войны и политические конфликты между Новгородом и его противниками (чаще всего Ливонским орденом и Швецией). Хотя в торговых договорах оговаривалось, что во время войны купцам гарантировался «чистый путь», т. е. свободное движение по торговым путям, тем не менее на практике всякий раз с началом войны объявлялась торговая блокада. Иногда конфликты возникали непосредственно между жителями Новгорода и иноземными купцами, что нередко вело к приостановлению торговли.
В периоды особенно острых конфликтов ганзейские купцы закрывали церковь и дворы, забирали свое имущество, все ценности, казну и архив конторы и покидали Новгород. Ключи от дворов они передавали на хранение архиепископу Новгорода и архимандриту Юрьева монастыря как высшим церковным иерархам Новгорода, т. е. особо доверенным лицам. Новгородцы, в свою очередь, стремились задержать ганзейцев в городе до удовлетворения своих требований.
Точка в новгородско-ганзейских отношениях была поставлена Иваном III в 1494 г., когда ганзейская контора в Новгороде была по его указу закрыта, ганзейские купцы и их товары арестованы и отправлены в Москву. Через 20 лет, в 1514 г., ганзейская контора вновь была открыта в Новгороде, но это была уже другая страница и в истории Новгорода, и в истории Ганзы.
После потери в 1478 г. независимости Новгород еще долго сохранял свое значение торгового центра на северо-западе России. В XVII в. здесь был устроен Шведский двор, который находился неподалеку от Любского. Кроме того, неоднократно поднимался вопрос об организации в Новгороде Датского двора, для которого даже было отведено место, однако двор датчан так и не был устроен. Кроме иностранных в Новгороде с XV в. находилось два русских гостиных двора — Псковский и Тверской.
Западноевропейские находки из раскопок в Новгороде
Археологический материал, накопленный в результате многолетних раскопок в Новгороде, конкретизирует и дополняет сведения письменных источников. Западноевропейский импорт представлен в Новгороде двумя группами — массовыми категориями импорта (серебро и цветные металлы, ткани, янтарь, стеклянные изделия) и индивидуальными изделиями западных мастеров16 (рис. 67).
Самой массовой категорией оказываются предметы из цветных металлов, коллекция которых насчитывает несколько тысяч. Однако цветные металлы поступали в Новгород не в виде готовых изделий, а в качестве сырья для собственного ремесленного производства, следы которого постоянно обнаруживаются при раскопках новгородских усадеб.
Источниками поступления цветных металлов в Новгород были европейские страны, владевшие месторождениями тех или иных металлов17. Так медь, которая является основным компонентом многих сплавов, поступала из Швеции, где активно разрабатывались ее месторождения в XIII—XV вв.
Рис. 67. Западноевропейские находки: 1—12 — из раскопок Новгорода, (1—4 — свинцовые пломбы, 5, 6 — фибулы, 7, 8 — перстни, 9, 10 — фрагменты костяных рукоятей ножей, 11 — цера, 12 — писало); 13 — обломок ножа с костяной ручкой из раскопок Риги
Свинец, в большом количестве требовавшийся для церковных покрытий, изготовления печатей, пломб и различных изделий, поступал из Англии. Новый, неизвестный по письменным документам источник поступления свинца был зафиксирован при находке огромного слитка свинца весом в 151,3 кг. В его составе находятся характерные для польских месторождений мышьяк и сурьма. Кроме того, на слитке имеются два клейма с изображением одноглавого орла и буквы К под короной, аналогичных изображениям на польских монетах короля Казимира Великого (1333—1370), что делает несомненным вывод о поступлении в Новгород польского свинца18.
К массовым категориям импорта относятся и ткани, одна из основных статей западноевропейской торговли в Новгороде. Находки западноевропейских тканей уточняют данные письменных источников о торговле ими и, кроме того, являются ценным материалом в изучении западноевропейского ткацкого ремесла в средневековье. По анализу шерстяных импортных тканей (462 образца) было установлено, что в X—XII вв. в Новгороде преобладали ткани английского производства. В XIII в. им на смену приходят ткани фламандского производства, получившие наибольшее распространение в XIV—XV вв. Ткани поступали на новгородский рынок и продавались поставами (Stucke), запечатанными свинцовыми пломбами с геральдическими изображениями городов-производителей. Этими пломбами удостоверялось не только место изготовления тканей, но также подтверждалось их качество и количество в данном «куске». При раскопках изредка встречаются такие пломбы.
Находки янтаря и изделий из него в слоях второй половины XIII — первой половины XV вв. отражают закономерности его ввоза из Прибалтики. Особенно обильными находки янтаря становятся с конца XIII в., когда стабилизируются мирные отношения между Новгородом и Тевтонским Орденом, владеющим месторождением и добычей янтаря на побережье Балтийского моря. Максимальное число янтарных находок приходится на вторую половину XIV — начало XV вв.
Рис. 68. Памятник «Тысячелетие России» (1862 г.) (фото А.И. Орлова)
Кроме этих самых массовых категорий западноевропейского импорта, находки которых исчисляются сотнями, обнаруживаются находки других, не столь массовых категорий западных товаров. К ним относятся фрагменты оконного стекла, стеклянных сосудов, в том числе венецианских, стеклянные перстни, хрустальные вставки для перстней или других изделий (например, окладов книг). Каждая из этих групп находок насчитывает десятки экземпляров. Обнаружены также днища дубовых бочек с западноевропейскими купеческими знаками собственности. В таких бочках ганзейские купцы доставляли свои товары в Новгород.
Одной из неожиданных категорий западноевропейских предметов, находимых в Новгороде, оказались зеркала, а точнее складные металлические оправы стеклянных зеркал. Такие зеркала известны в Европе с XIII в. и наибольшее распространение получили в XIV—XV вв. Впервые металлическая оправа для стеклянного зеркала была найдена на Готском раскопе, но не была надежно атрибутирована из-за отсутствия каких-либо аналогий. Половинка подобной оправы была обнаружена при раскопках одной купеческой усадьбы, где останавливались ганзейские купцы.
Рис. 69. Вид на Кремль и Торговую сторону (фото А.И. Орлова)
Наряду с массовыми категориями западного импорта в огромной вещевой коллекции, собранной при раскопках Новгорода, содержится несколько десятков (более 70 экз.) разного рода западноевропейских изделий. Среди них фрагменты рейнской и поливной западноевропейской керамики, деревянных чаш, состоящих из отдельных клепок, резные рукояти ножей. Среди украшений западноевропейского происхождения встречаются перстни с изображениями рук и пластинчатые кольцевые фибулы, широко распространенные в Германии, Польше и скандинавских странах. Изредка встречаются на новгородских усадьбах доски для игры в «мельницу», широко распространенную в балтийском регионе. На одной из усадеб было найдено писало с костяной рукояткой и табличка для письма по воску, имеющие прямые аналогии в материалах Любека и других ганзейских городов.
Комплексный анализ археологических находок из раскопок Новгорода показывает, что массовые предметы ганзейского импорта (изделия из цветных металлов, янтарь, ткани) встречаются почти повсеместно. Индивидуальные предметы западноевропейского происхождения обнаруживаются лишь на усадьбах богатых новгородских бояр или на усадьбах купцов, торговавших с ганзейцами.
Новгород, возникший на перекрестке торговых путей, всегда был открытым городом, незамкнутым в рамках одной культурной традиции.
Примечания
1. Рыбина Е.А. Торговля средневекового Новгорода. Историко-археологические очерки. Великий Новгород, 2001.
2. Рыбина Е.А. Археологические очерки истории новгородской торговли X—XIV вв. М., 1978.
3. Рыбина Е.А. Археологические очерки истории новгородской торговли X—XIV вв. С. 26, 29—30, 38.
4. Носов Е.Н. Нумизматические данные о северной части балтийсковолжского пути конца VIII в. // ВИД. Т. 8. Л., 1976.
5. Рыбина Е.А. Археологические очерки истории новгородской торговли. С. 48—49.
6. Рыбина Е.А. О содержании берестяных грамот с географическими названиями // НГБ (из раскопок 1984—1989 гг.). М., 1993. С. 344—347.
7. Древнерусские города в древнескандинавской письменности. Тексты, переводы, комментарий / Сост. Т. Н. Джаксон, Г.В. Глазырина. М., 1987. С. 22—25, 71.
8. Янин В.Л., Гайдуков П.Г. Новгородский клад западноевропейских и византийских монет конца X — первой половины XI вв. // Древнейшие государства Восточной Европы. 1994. Новое в нумизматике. М., 1996.
9. НПЛ. С. 22.
10. Там же. С. 23.
11. Там же. С. 30.
12. Коновалов А.А. Цветной металл (медь и ее сплавы) в изделиях Новгорода X—XV вв.: Автореф. дис. ... канд. ист. наук. М., 1974.
13. НПЛ. С. 39.
14. Рыбина Е.А. О двух древнейших торговых договорах Новгорода // НИС. 1989. Вып. 3 (13).
15. Рыбина Е.А. Иноземные дворы в Новгороде XII—XVII вв. М., 1986.
16. Рыбина Е.А. Археологические очерки... С. 63—84; Она же. Западноевропейские находки XIII—XIV вв. из раскопок в Новгороде // Новгородские археологические чтения: Мат-лы науч. конф. Новгород, 1994. С. 87—89.
17. Никитский А.М. История экономического быта Великого Новгорода. М., 1893. С. 158; Goetz L.K. Deutsch-russische Handelsgeschichte des Mittelalters. Hamburg, 1916; Хорошкевич А.Л. Из истории ганзейской торговли (ввоз в Новгород благородных металлов в XIV—XV вв.) // Средние века. Вып. 20. 1959. С. 314.
18. Янин В.Л. Находка польского свинца в Новгороде // СА. 1965. № 4.
| Предыдущая страница | К оглавлению | Следующая страница |







